З початку 2017 року у Луцьк прийшла нова влада. Але нові прізвища з’явились не лише на табличках кабінетів міськради. «Вишків-Брук» та «ПБС» – дві фірми, пов’язані із депутатами від провладної у Луцьку партії «УКРОП», які за останні роки отримали значну частину ремонтних тендерів і, відповідно, коштів з місцевого бюджету. У чому секрет такого успіху, з’ясовували журналісти Центру журналістських розслідувань «Сила правди».
Луцька фірма «Вишків-Брук» та івано-франківська «ПБС» лише за минулий рік отримали майже 35 мільйонів гривень з луцького бюджету, виборовши право на укладання з міськрадою найбільш вартісних договорів.
26 МІЛЬЙОНІВ ГРИВЕНЬ ВІД МІСЬКРАДИ ДЛЯ ДЕПУТАТА З БІЛЬШОСТІ
Фірма «Вишків-брук» створена навесні 2016-го року. Серед засновників – нинішній депутат Луцькради від партії «УКРОП» Сергій Балицький та лучанин Микола Панасюк. Згодом Панасюка у фірмі змінила Людмила Потапчук.
За даними порталу «bi.prozorro.org», з вересня 2016-го компанія виграла 56 тендерів, які проводила Луцькрада, програла лише тричі та чотири рази була дискваліфікована. 2018 рік виявився для «Вишків-Брук» найбільш плідним – 23 договори загальною вартістю понад 11,5 мільйонів гривень.

Перші держзамовлення фірми були на ремонти прибудинкових територій, але доволі швидко у послужному списку з’явились і ремонти тротуарів головних вулиць Луцька.

Співзасновник і керівник фірми – Сергій Балицький – член нинішньої провладної більшості у міській раді і фракції партії «УКРОП». У політику Балицький прийшов з бізнесу, у зв’язку з чим у нього виникає потенційний конфлікт інтересів, бо депутатські питання тісно перетинаються з підприємницькою діяльністю.
До прикладу, журналісти видання «Волинь24» повідомляють, що депутат не тільки активно голосує за виділення бюджетних коштів на ремонт доріг, а й сам вносить до розгляду відповідні пропозиції, які з часом перетворюються у тендери для його компанії.
Так було з рішенням про виділення коштів на ремонт пішохідної доріжки на вулиці Наливайка від будинку №6 до будинку №6а. Тут Балицький і голосував, і ремонтував.
Проте депутат так не вважає.
«Ремонт доріг – це суспільне благо, тож участь у таких голосуваннях не може бути конфліктом інтересів. Часто я можу і не знати, що ми будемо займатись якимось замовленням. Кошти у будь-якому разі виділяються на суспільне благо», – зазначив депутат у коментарі для «Сили правди».
В той же час юристи визначають такі дії як потенційний конфлікт інтересів, який у випадку з Балицьким переріс у реальний. Тобто депутат сприяє виділенню коштів на ремонт об’єктів, якими займатиметься його власна фірма.
Юристка Громадської ініціативи «За чесний тендер» Мирослава Примак у розмові з журналістами «Волинь24» прокоментувала:
«Потенційний конфлікт інтересів у нього міг виникнути під час того, коли він голосував на сесії за виділення коштів на таку потребу на здійснення ремонту тротуару. Чому? Тому що в нього є фірма, яка займається саме такими роботами. Потенційно у нього вже є інтерес для того, щоб сприяти більше виділенню коштів саме на такі напрямки, а не на медицину, освіту і так далі»
Департамент житлово-комунального господарства Луцької міської ради повідомив, що лише за 2018 рік з «Вишків-Брук» було укладено 27 угод. Їхня загальна вартість сягає майже 15 мільйонів гривень. Серед замовлень переважає ремонт прибудинкових територій, проте фірма здобула і більш солідні проекти, як от капітальний ремонт тротуарів на вулиці Винниченка.

Запитання виникають і до самих тендерів, у яких переміг «Вишків-Брук». Із 20-ти останніх тендерів Луцькради, у яких брала участь зазначена фірма, у 14 випадках компанія Балицького не мала конкурентів і не знижувала ціну, а пропонувала ту ж суму, яку вказував очікуваною сам замовник. І лише одні торги скасували через відсутність мінімум двох тендерних пропозицій.
Загалом, ще два рази «Вишків-Брук» поступився іншим конкурентам і сім разів конкурував лише з ТОВ «Луцька ДПМК», яка нещодавно уже засвітилася у тендерному скандалі. Ще в одному тендері, окрім цих двох компаній, були й інші учасники.
Цікаво, що коли «Вишків-Брук» зустрічається з іншими претендентами під час проведення тендерів від міськради, фірма завжди поступається конкурентам, якщо це не «Луцька ДПМК». Один на один з цим суперником фірма Балицького змагалась сім разів і лише один раз програла. Така ситуація є досить дивною і може свідчити про змову між учасниками. .
Сергій Балицький це заперечує і говорить, що не знає, як це назвати, адже свої тендери «Вишків-Брук» виграв чесно, та й випадок конкуренції з «Луцькою ДПМК» пам’ятає лише один – змагання за ремонт тротуарів на Винниченка.

23 МІЛЬЙОНИ ДЛЯ ФІРМИ КАНДИДАТА В ПРЕЗИДЕНТИ ВІД «УКРОПУ»
Фірма «ПБС» теж нова для Волині. Цьогоріч івано-франківська фірма вперше виграла тендери у Луцьку. Департамент житлово-комунального господарства Луцької міської ради уклав з «ПБС» лише два договори, проте аж на 23,2 мільйони гривень. Обидва тендери, які виграла «ПБС» ввійшли в ТОП-5 найбільших закупівель міськради у минулому році.
За офіційною інформацією, засновницею компанії є Іванна Непик, проте фірму асоціюють з засновником курорту «Буковель», народним депутатом-«укропівцем» Олександром Шевченком.
Сама Непик теж є працівницею «Буковелю», співзасновницею ще двох фірм і директоркою компанії «Галичина-Цукор», яка належить дружині Олександра Шевченка Тетяні.
Саме Шевченко здобув перемогу на публічних президентських праймеріз «УКРОПу» у 24 з 26 регіонів, включно з Волинню і тепер балотуватиметься на пост президента України від своєї партії.
До речі, законодавство забороняє займатися бізнесом держслужбовцям та народним депутатам. Тим не менш Шевченко надалі опікується «ПБС», хоча офіційно й не фігурує ні як власник, ні як керівник фірми. Політик знімається у промороликах «ПБС» та активно протестує проти обшуків у «Буковелі», які, як коментують в СБУ, спричинені підозрами у проведенні махінацій дорожньо-експлуатаційною компанією.

Фірму започаткували у Івано-Франківську. Її діяльність розповсюджується не тільки на сусідні області, такі як Чернівецька, Закарпатська і Львівська, а й на Одещину, Херсонщину та Черкащину. За таких умов дивним здається той факт, що співпрацю безпосередньо з Луцьком компанія розпочала лише у 2018 році і саме з появою більшості в складі «УКРОПу» в Луцькраді. Загалом «ПБС» в Луцьку брала участь у чотирьох тендерах. Два дістались їй і два «Луцькавтодору».
Директор «ПБС» Олексій Пастернак говорить, що не може пояснити, чому фірма раніше не займалась ремонтними роботами у Луцьку.
«Так вийшло. Десь співпраця складається краще, а десь гірше. Тут є дуже багато нюансів, про які я не хочу багато говорити», – коментує Пастернак.
Пояснив посадовець і затримку з виконанням робіт на мосту через річку Стир. Лучани скаржились, що ремонт на цьому об’єкті невиправдано затягнувся, адже розпочався у серпні і закінчився лише у грудні.

«Проблема була в тому, що бетон виявився дуже міцний. Там хлопці довго займалися його демонтажем, це те, що стосується деформаційних швів і так далі. В цьому пішла затримка, тому що роботи виконували за допомогою компресора і це тривало довго. Це був основний момент у ситуації», – пояснив директор компанії.
«ПБС» тримається в топі найуспішніших фірм, які займаються ремонтом доріг. За інформацією, розміщеною на «YouControl» лише у 2018 році компанія перемогла у 62 державних тендерах у різних областях України на 2,76 мільярда гривень.

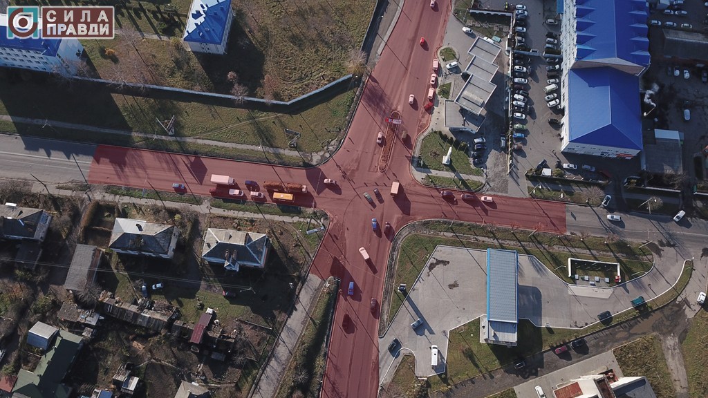
Наразі у Луцьку фірма завершує капітальний ремонт перехрестя вулиці Дубнівської та Карпенка-Карого, який обійдеться місту майже в 10 мільйонів. Ремонт мосту через річку Стир бюджету має обійтися у 13 мільйонів гривень.
Під час публічного звіту про роботу виконувача обов’язків міського голови Григорія Пустовіта на каналі «UA:Волинь» журналіст «Сили правди» поцікавився чи не вбачає посадовець конфлікту інтересів в ситуації із тендерами «Вишків-Брука» та «ПБС».
«Ви представляєте дуже серйозне видання, тож, напевне, знаєте, що ми не маємо впливу на тендери. Усі тендери відбуваються на «Прозоро». Виграє тендери той, хто ставить кращу пропозицію. А давайте спитаємо у людей не хто скільки робить, а хто якісно робить. Подивіться, як цього року клали бруківку на вулиці Винниченка. Всі були задоволені якістю робіт. Давайте оцінювати не по тому, хто скільки виграє, а хто якісно робить. Нехай інші теж беруть участь у тендерах, нехай конкурують», – зазначив посадовець.
Матеріал виготовлено Центром журналістських розслідувань «Сила правди» в рамках проекту підтриманого National Endowment for Democracy















